Działka pod osiedle Segmentów/blizniaków

lokalizacja: Borzęcin

5 010 000,00 PLN

300,00 PLN

Opis nieruchomości

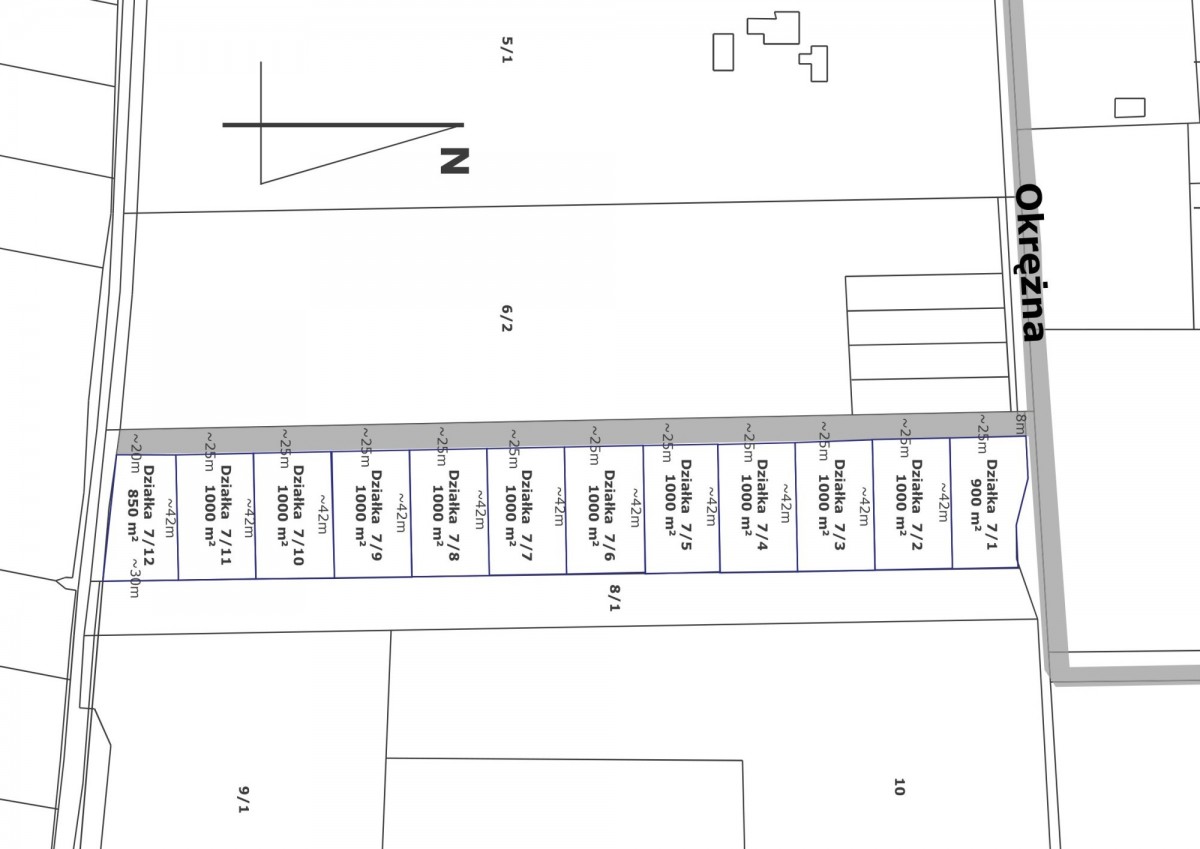
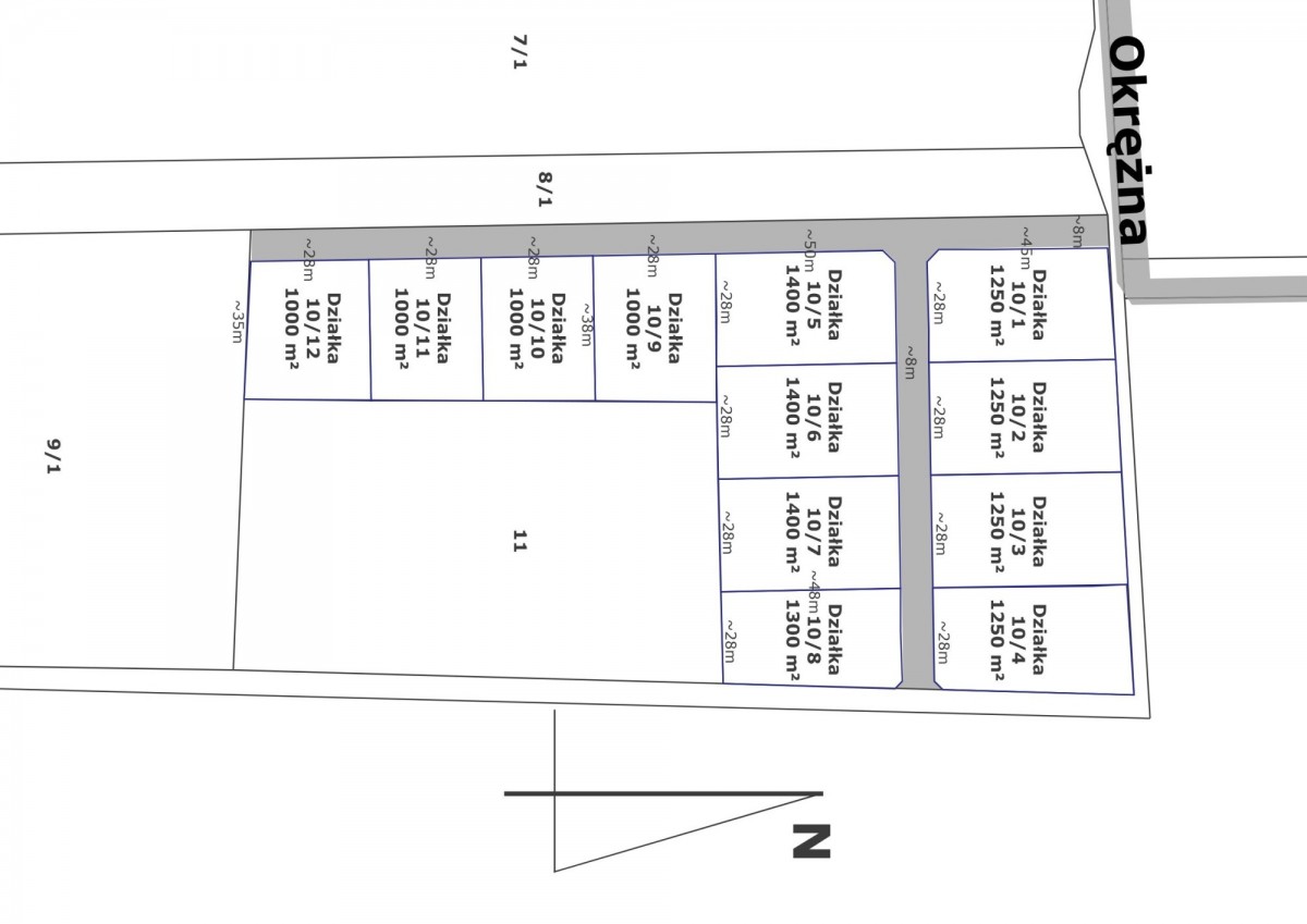
Mam przyjemność przedstawić państwu na sprzedaż działkę budowlaną o powierzchni 16 700 mkw. pod budowę osiedla.


  • Działka o wymiarach 118.16 x 103.24 x 70,98 x 114.37 x 43,44 x 213.45 metrów.


W studium oznaczona M-mieszkaniowa. Na chwilę obecną możliwość zabudowy zagrodowej. Idealna na inwestycje czy wymarzony kawałek ziemi na uboczu bez sąsiadów a w centrum wszystkiego. Nieruchomość położona w Umiastowie przy ul. Okrężnej. Działka jest usytuowana bezpośrednio przy drodze gminnej (asfaltowej) ze wszystkimi mediami.

Lokalizacja:
W najbliższych miesiącach ma powstać stacja metra Połczyńska, do której dojazd zajmie tylko 15 min. W zaledwie kilka minut można dotrzeć do Kampinoskiego Parku Narodowego. Ponadto, w najbliższej okolicy znajdują się:
- stacja PKP Ożarów Mazowiecki,
- przystanek autobusowy,
- szkoła, przedszkole,
- sklepy,
- kościół,
- basen,
- przychodnia,
- plac zabaw.
W okolicy niska, kameralna zabudowa oraz nowo powstające nowoczesne domy. Do szkoły czy przedszkola jest 5 min spacerkiem. Okolica bardzo intensywnie rozwijająca się.

Forma własności: pełna własność z księgą wieczystą.

Zapraszam na prezentacje.

Plany Nieruchomości

Kontakt do opiekuna:

Poland Street Sp. z o.o.

Poland Street Nieruchomości
Nieprawidłowy adres E-mail
Mapa

Strona korzysta z plików cookie w celu realizacji usług zgodnie z Polityką prywatności. Możesz określić warunki przechowywania lub dostępu do cookie w Twojej przeglądarce.